Наука о томе како је ураган Мелиса постао тако екстреман

28. октобар 2025. године
3 мин читања
Како је ураган Мелиса постао једна од најинтензивнијих атлантских олуја забележених
Готово савршено усклађивање фактора омогућило је урагану Мелиса да постане једна од најинтензивнијих атлантских олуја икада забележених

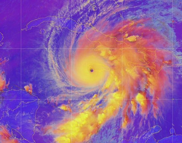
Ураган Мелиса је 28. октобра постао један од најјачих урагана икада познатих у Атлантском океану. Ураган категорије 5 има ветрове од 185 миља на сат и централни притисак од 892 милибара, што га ставља у везу са ураганом на Дан рада из 1935. године као трећом најинтензивнијом олујом икада измереном у Атлантику. Олуја из 1935. изазвала је огромну девастацију и збрисала Флорида Кис.
„Ово је отприлике онолико снажно колико урагани постају“, каже Брајан Мекнолди, истраживач урагана са Универзитета у Мајамију. Чак и у западном Пацифику, где се снажне олује чешће дешавају, мало тропских циклона би постигло овај интензитет.
Разлог зашто је Мелиса успела да дође до ове ретке компаније је скоро савршена склапање околности. „Ово се користи свим могућим условима које тренутно може“, каже МцНолди.
О подршци научном новинарству
Ако уживате у овом чланку, размислите о томе да подржите наше награђивано новинарство претплата. Куповином претплате помажете да се обезбеди будућност упечатљивих прича о открићима и идејама које данас обликују наш свет.
„То је ова фрустрирајућа комбинација—научно говорећи—знамо да је то могуће, али као људи, запрепаштени смо када видимо да се манифестује на овај начин“, каже Ким Вуд, научник за атмосферу са Универзитета у Аризони.
Мотор у срцу сваког тропског циклона је конвекција коју покреће температурна разлика између топле морске површине и хладне атмосфере на врху олује, где ваздух излази. Тај одлив се појављује у слоју званом тропопауза, који означава границу између тропосфере (где се дешава временске прилике на Земљи) и стратосфере изнад. Тропауза је виша у тропима него у умеренијим географским ширинама. Такође је виши изнад Пацифика него изнад тропског Атлантика, што је један од разлога зашто су пацифички тајфуни често јачи од атлантских урагана (иако су то исти феномени). Мелиса у потпуности користи ту висину тропопаузе и њене екстремно хладне врхове облака, подстичући њену изузетну конвекцију.
ПРОЧИТАЈТЕ ЈОШ: Наука о ураганима има много жаргона — ево шта све то значи
На доњем крају свог конвективног мотора, Мелисса је била паркирана „у основи изнад најтоплије воде коју Атлантик тренутно може да понуди“, каже МцНолди. Температуре океана на Карибима су на врхунцу у октобру након летњих месеци, када „океан само седи и кува“, додаје он.
Мерења плутаче од пре недељу дана показала су температуру воде од 30 степени Целзијуса (86 степени Фаренхајта) или више до 60 метара (скоро 200 стопа). „Постојала је широко распрострањена купка испод онога што је на крају постало Мелиса“, каже Вуд.
Нормално, олуја која је спора као што је била Мелиса – са кретањем унапред од 3 до 5 миља на сат – би узбуркала хладније воде из дубље у океану, што би на крају ослабило олују. Али у овој области постоји довољно топлине да се то није догодило Мелисси. „То је прилично савршено место да се ово деси“, каже МцНолди.
С друге стране, да се Мелиса брже кретала, можда не би могла да се храни топлим водама тако дуго колико јесте. Овај ураган се једва померио у протеклој недељи.
Време које је ураган провео над овим богатством топлине такође му је помогло да одржи свој невероватан интензитет тако дуго – то је била олуја категорије 5 више од једног дана.
Мелиса је од тропске олује прерасла у велики ураган у процесу познатом као брзо интензивирање, које се дешава када олујни ветрови скоче за најмање 35 миља на сат за 24 сата. Мелисини ветрови су се повећали за дупло већу количину током свог првог периода брзог интензивирања. „То је изванредно“, каже МцНолди.
Можда је још више запањујуће било то што је Мелиса прошла још један период брзог интензивирања након што је већ био ураган 4. категорије. И не само да је задржао статус категорије 5 како се полако приближавао Јамајци, већ је и наставио да се интензивира. Нормално, како олује почну да утичу на копно – посебно на брдовити терен као што је онај на Јамајци – трење почиње да их омета и слаби. Ипак, ураган Мелиса „изгледа као да ни не зна да је Јамајка тамо“, каже МекНолди. „Изгледа потпуно неометано.“
Јасно је да, са променом климе, температуре океана расту, а тропским системима има више влаге. И постоји јасан тренд ка више – и интензивнијем – брзом интензивирању и већем уделу олуја које достижу већи интензитет. Нејасно је да ли ћемо видети још ситуација у којима се услови савршено усклађују како би урагани могли да достигну свој максимални потенцијал, каже Вуд. Али Мелиса ће вероватно подстаћи много више истраживања о том питању.
Време је да се заузмемо за науку
Ако вам се допао овај чланак, замолио бих вас за подршку. Сциентифиц Америцан служио је као заговорник науке и индустрије 180 година, а управо сада је можда најкритичнији тренутак у тој двовековној историји.
Био сам а Сциентифиц Америцан претплатник од моје 12 година, и то је помогло у обликовању начина на који гледам на свет. СциАм увек ме образује и одушевљава, и изазива осећај страхопоштовања према нашем огромном, предивном универзуму. Надам се да ће то учинити и за вас.
Ако ти претплатите се на Сциентифиц Америцанпомажете да осигурамо да је наша покривеност усредсређена на смислена истраживања и открића; да имамо ресурсе да извештавамо о одлукама које прете лабораторијама широм САД; и да подржавамо и надобудне и запослене научнике у време када вредност саме науке пречесто остане непризната.
Заузврат, добијате важне вести, задивљујући подкасти, бриљантна инфографика, не могу пропустити билтене, видео снимке које морате погледати, изазовне игре и најбоље писање и извештавање у свету науке. Можете чак поклонити некоме претплату.
Никада није било важнијег тренутка да устанемо и покажемо зашто је наука важна. Надам се да ћете нас подржати у тој мисији.



