Да ли ураган Мелиса показује да је време за одређивање категорије 6?

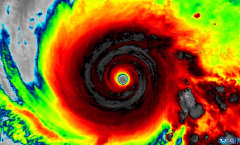
Када је ураган Мелиса ударио на Јамајку 28. октобра, показао је колико разорно моћан може бити ураган категорије 5 — а онда и неки.
Проћи ће недеље пре него што стручњаци заиста буду могли да процене колико је ураган Мелиса опустошио Јамајку и оближња острва. Али научници су већ уверени да су климатске промене допринеле застрашујућој снази олује, која је изазвала ударе ветра далеко изнад минимума који је потребан за категорију 5. А Мелиса би могла да оживи дискусије које се воде око тога да ли су пет категорија Сафир-Симпсонове скале ветрова урагана довољне да опишу да монструозне промене могу да подстакну олује.
ПРОЧИТАЈТЕ ЈОШ: Како је ураган Мелиса постао једна од најинтензивнијих атлантских олуја забележених
ВИДИ ВИШЕ: Ураган Мелиса Слике откривају чудовишну олују за књиге рекорда
О подршци научном новинарству
Ако уживате у овом чланку, размислите о томе да подржите наше награђивано новинарство претплата. Куповином претплате помажете да се обезбеди будућност упечатљивих прича о открићима и идејама које данас обликују наш свет.
Како би изгледала олуја категорије 6?
Сафир-Симпсонова скала разбија урагане у нумерисане категорије засноване искључиво на вршним брзинама ветра. У овој скали, олуја са сталним максималним ветровима од 74 до 95 миља на сат је ураган категорије 1. Када олујни ветар погоди брзину од 111 мпх, она постаје категорија 3, што такође означава званичну ознаку „великог урагана“. Најстрожа класификација према Сафир-Симпсоновој скали, категорија 5, означава урагане са трајном вршном брзином ветра од 157 мпх или више.
Али прошле године научници за урагане сугерисали су да ова „отворена“ природа Сафир-Симпсонове скале више није довољна да пренесе стварност модерних урагана. Предложили су успостављање категорије 6, која би почела при вршној сталној брзини ветра од 192 миље на сат.
Као што су истраживачи приметили, до сада је пет олуја достигло ову ужасавајућу прекретницу, и све су то учиниле у годинама након 2010. Те олује су биле ураган Патриша у источном Тихом океану и четири тајфуна — којима се традиционално не приписују категорије — у западном Пацифику: Мерантига и Суријан
Ураган Мелиса није у потпуности испунио предложену границу категорије 6, са почетним мерењима која сугеришу максималну трајну брзину ветра од 185 мпх. Због тога је повезан са неколико других озбиљних олуја – ураганом „Празника рада“ из 1935. и ураганима Гилберт, Вилма и Доријан 1988., 2005. и 2019. године – за другу најјачу трајну брзину ветра у Атлантском океану.
Најјача забележена брзина ветра у Атлантику десила се у урагану Ален 1980-их, који је достигао 190 миља на сат, скоро па је прешао у категорију 6 коју су предложили истраживачи.
Међутим, неки научници тврде да је проширење Саффир-Симпсонове скале непотребно. Тај аргумент почива на чињеници да скала не укључује само бројеве категорија и брзине ветра, већ и белешке о томе какву штету очекивати од тих ветрова. Заиста, Херберт Сафир, један од научника иза скале, био је грађевински инжењер који се фокусирао на оштећења ветра.
Национални центар за урагане описује категорију 3 као изазивање „разорне штете“, при чему су чак и добро изграђене куће подложне губитку крова, а погођени регион се суочава са потенцијалним вишедневним губитком воде и електричне енергије. Обе категорије 4 и 5 су описане као узрок „катастрофалне штете“: „Већина подручја биће ненастањива недељама или месецима“, пише у рубрици. У том тренутку, тврде противници категорије 6, мало је даље потребно правити разлику око тога колико ће ситуација бити страшна.
А неки су забринути да би додатна категорија могла имати супротан ефекат од оне која је предвиђена. „То би могло да надува скалу тако да би олује које разбијају животе којима су додељене ниже категорије привукле још мање пажње него што то већ чине“, написао је научник о атмосфери са Универзитета Аризона Ким Вуд о Блуескију.
Климатске промене и чудовишне олује
Шокантни ветрови урагана Ален 1980. године, пре него што је примећен тренд све интензивнијих урагана, важан су подсетник да климатске промене не утичу директно узрок чудовишни урагани. Научници радије описују климатске промене као „набијање на коцкице“ за или допринос јачини озбиљних олуја.
И научници су већ закључили да су климатске промене заиста допринеле снази урагана Мелиса. Анализа непрофитне истраживачке организације Цлимате Централ израчунала је да су воде кроз које је Мелиса путовала као олуја категорије 5 док се приближавала Јамајци биле више од једног степена Целзијуса (два пуна степена Фаренхајта) топлије од нормалног – околност због које су климатске промене учиниле више од 700 пута вероватнијим.
Друга брза анализа, ова коју је спровела организација ЦлимаМетер, утврдила је да су климатске промене ојачале Мелисине ветрове и кишу за око 10 процената у поређењу са начином на који се олуја могла одиграти у условима у којима људи нису додали у атмосферу гасове стаклене баште који задржавају топлоту. Истраживачи ће објавити друге, сличне „анализе атрибуције“, како су ове студије познате, у наредним данима и недељама.
Генерално, међутим, научници знају да урагани постају све јачи како се климатске промене убрзавају. Топлија океанска вода подстиче јаче ветрове, а топлији ваздух задржава више воде, што онда може постати киша. У међувремену, пораст нивоа мора чини приобалне регионе рањивијим на олујне таласе. Студије су показале да како се климатске промене настављају, већи проценат урагана достиже категорију 3, док други докази показују да се чак и тропске олује и слаби урагани такође појачавају.
Али почетне анализе такође указују на слабост идеје Категорије 6 и инхерентну слабост Сафир-Симпсонове скале као алата за комуникацију о ризику: скала узима у обзир само брзине ветра, али олујни удари и падавине урагана могу бити подједнако опасни, ако не и више.
ПРОЧИТАЈТЕ ЈОШ: Категорије урагана не обухватају све истинске опасности олује
Многе од најштетнијих олуја последњих година изазвале су неописиву девастацију док су биле далеко слабије од категорије 5. Узмите у обзир ураган Катрина из 2005. године, који је доспео на копно као олуја категорије 3, али је изазвао огроман олујни талас и убио више од 1.800 људи. У скорије време, ураган Харви из 2017. стигао је на копно као олуја категорије 4, али је његова најопаснија опасност била бујична киша, а не ветар.
Научници за урагане су дуго били фрустрирани ограничењима и недостацима Сафир-Симпсонове скале као комуникационог алата за ширу јавност, а многи траже другачију метрику која би људима била лака за разумевање, али би боље укључила сложене претње било које олује.
То је тежак задатак. „Немогуће је свести претње од урагана на један број“, рекао је Бриан МцНолди, истраживач урагана на Универзитету у Мајамију. Сциентифиц Америцан на почетку прошлогодишње сезоне урагана.
Тешка истина је да су урагани сложене звери, које је инхерентно тешко свести у један број. Девастација урагана Мелиса је ужасна алхемија створена јединственом комбинацијом незаустављивих налета, морске воде која је натерана у унутрашњост и поплаве која се излива са неба, све у интеракцији са пејзажом и људским животима олуја која се налази на свом путу.



